
To już pewne, huragan "Malissa" był najsilniejszym, który kiedykolwiek uderzył w Jamajkę. Docierając do jej wybrzeża miał najwyższą piątą kategorię w skali Saffira-Simpsona. Poranne słońce odsłoniło tam skalę zniszczeń, ale najgorsze dopiero czeka Kubę i Bahamy. Są pilne ostrzeżenia polskiej ambasady.
Daj napiwek autorowi
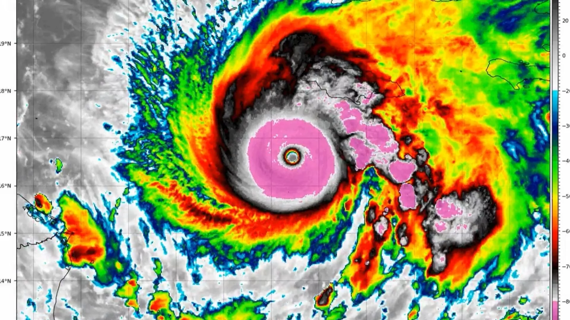
Około 500 tys. osób na Jamajce nie ma prądu. Miasto St. Elizabeth znalazło się pod wodą. Wiatr wiejący z prędkością do 295 km/h niszczył domy mieszkalne, szpitale, mosty i drogi. Ponieważ huragan "Melissa" przechodził przez Jamajkę wieczorem i w nocy, szacowanie strat, a także liczenie ofiar dopiero się tam rozpoczyna. Równocześnie jednak na uderzenie rozpędzającego się żywiołu przygotowuje się Kuba.
Ze wstępnych nieoficjalnych danych podanych przez CNN wynika, że do tej pory z powodu huraganu "Melissa" mogło zginąć siedem osób. 3 na Jamajce podczas przygotowań do nadejścia żywiołu, 3 na Haiti i jedna w Dominikanie. Bilans ten najpewniej będzie jednak znacznie bardziej tragiczny.
Huragan "Melissa" znów się rozpędza. Kuba gotowa na najgorsze
Przygotowania do nadejścia Huraganu na Kubie trwały od kilku dni. Z tamtejszego wybrzeża ewakuowano ok. 650 tys. mieszkańców. Jednak najnowsze doniesienia nie są dla wyspy najlepsze. Po tym, jak "Melissa" osłabła do kategorii trzeciej po spustoszeniu Jamajki, żywioł nad Atlantykiem znów przybrał na sile. Wiele wskazuje na to, że w wybrzeże Kuby uderzy jako huragan trzeciej lub czwartej kategorii.
Amerykańskie Narodowe Centrum ds. Huraganów w środę 29 października w godzinach porannych czasu polskiego opublikowało najnowsze dane dotyczące "Melissy". Ich zdaniem będzie to "ekstremalnie niebezpieczny huragan o dużym potencjale". Już teraz suma opadów waha się tam na poziomie od 250 do 500 mm. Punktowo jest to nawet 630 mm. Dla porównania w Polsce roczna suma opadów wynosi ok. 600 mm.
Władze Kuby już teraz przygotowują się na to, co czeka ich po przejściu żywiołu. Prezydent Kuby Miguel Díaz-Canel stwierdził, że "Melissa" jest "jednym z najsilniejszych, najpoważniejszych, a może nawet najsilniejszym huraganem, jaki kiedykolwiek przeszedł przez terytorium kraju". Dodał, że brygady energetyczne, łączności, budowlane, czy ds. zasobów wodnych są już gotowe, aby wkroczyć do akcji i rozpocząć odbudowę kraju najszybciej, jak będzie to możliwe.
Polska ambasada w USA ostrzega. Huragan "Melissa" uderzy także w Bahamy
Zagrożenie spowodowane huraganem "Melissa" nie minie po jego uderzeniu w Kubę. Po przejściu przez wyspę osłabnie, ale jego skutki nadal będą poważnie odczuwały Bahamy. "Bahamas Department of Meteorology wydał ostrzeżenie przed huraganem dla południowo-wschodnich i centralnych Bahamów. Ostrzeżenie przed huraganem: Exuma, Ragged Island, Rum Cay, Long Island, San Salvador, Cat Island, Acklins, Crooked Island, Long Cay, Mayaguana oraz Inagua" – przekazała polska ambasada w USA.
Turystom i mieszkańcom polecono śledzenie trasy huraganu, a także najnowszych komunikatów i ostrzeżeń wydawanych przez Bahamas Department Of Meteorology. "Przygotuj się na możliwość huraganu i burzy tropikalnej – rozpoczynających się wczesnym rankiem w środę i trwających do czwartku. Stosuj się do poleceń władz miejscowych" – dodała polska ambasada.

3 miesięcy temu
49








English (US) ·
Polish (PL) ·